Court Ordered Land Auction for Estate of Brenda J Rummel. Wood County Ohio Probate Case Number: 2024CV0654, James M Sharp, Attorney.
33 +/- TOTAL ACRES
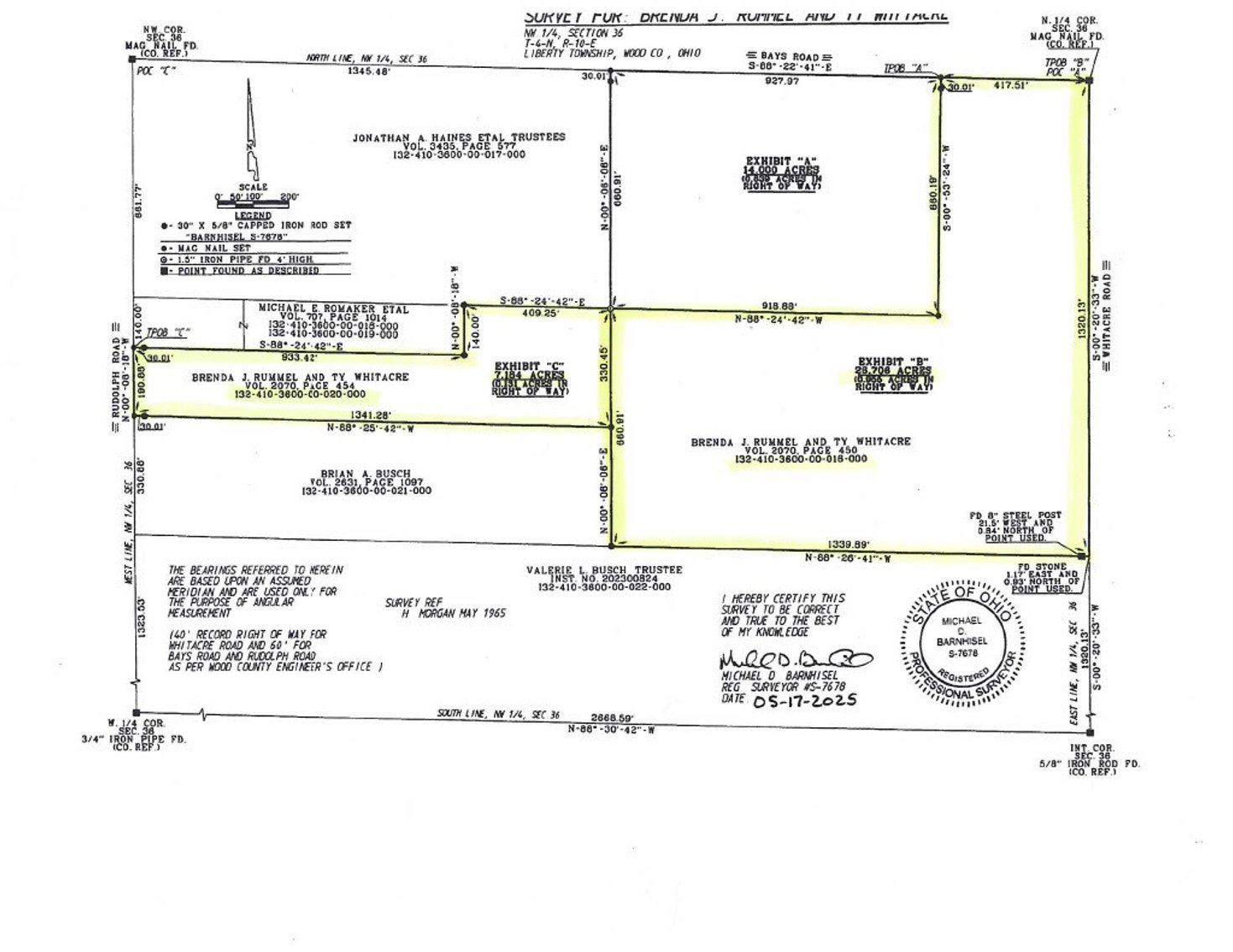
2 parcels selling separately (7+/- AC) & (26+/-AC) Bays and Rudolph Roads. Parcels are adjacent to one another and can be accessed from Rudolph or Bays Rd. Reference the Survey Map on Documents Tab for highlighted overview.
LOT 1: 0 RUDOLPH RD, RUDOLPH OH 43462: 7+/- ACRES located in Wood County Ohio. Parcel#: I32-410-360000020000, Liberty Township, Bowling Green CSD. Tillable Acres: 6.87 Survey Provided on Document Tab. There are no crops, no leases, or tile maps.
Lot 2: 13681 BAYS RD, RUDOLPH OH 43462: ADDRESS OF SPLIT TBD: 26+/- ACRES located in Wood County Ohio. Parcel#: I32-410-360000016000. The split from house and barns will have a separate parcel number. Liberty Township, Bowling Green CSD. Tillable Acres: 26 +/- approximately.
Don Rose, Auctioneer/Realtor, is the seller's agent. The property will be sold "as-is" with no contingencies. A nonrefundable $5,000 deposit, in certified funds payable to Don Rose Auction & Realty, is required from the successful bidder within 24 hours of the auction's conclusion. The balance is due within 30 days of signing the auction purchase contract. Closing and title work will be handled by Marsh and Rothenbuhler Title Company in Bowling Green, OH. A 5% buyer's premium will be added to the final bid to determine the contract price. All bidders must provide proof of funds or a pre-qualification letter from a local lender when signing the auction purchase contract.
Both lots will be treated as if they are in the same auto-extend group and will auto-extend together!
$5,000 down from successful bidder in the form of cashier's check made payable to Don Rose Auction & Realty. 10% buyer's premium will be added to final bid to establish contract price. This is a Seller Confirmation auction. Closing to be held at Marsh & Rothenbuhler Title, BG within 30 days of executed contract.
ON-LINE AUCTION TERMS & CONDITIONS
VERY IMPORTANT! READ CAREFULLY BEFORE YOU ATTEMPT TO BID. ONCE YOU BID, YOU WILL BE BOUND LEGALLY BY THE FOLLOWING TERMS AND RULES THAT ARE STATED HERE.
NOTE: This is a "soft close" auction. This prevents the item or items up for bid from being "sniped" from bidders in the last few seconds of the auction. In this case, the soft close is set to 2 minutes. This means that any bids that are placed in the last 2 minutes of the auction will automatically extend the auction an additional 2 minutes.
THERE IS A 10% BUYER'S PREMIUM IN EFFECT FOR THIS AUCTION. PRE-QUALIFIED FOR CONVENTIONAL FINANCING OR CASH ONLY.
GENERAL TERMS: Real Estate selling as-is with no contingencies! The auction will be conducted by Don Rose Auctioneers, LLC d/b/a Don Rose Auctioneers (Auctioneer) on behalf of the owners of the property, referred to as the Seller. Auctioneer is not responsible for the acts or representations of Seller. The auction shall be governed by the terms set forth herein (the agreement), and any additional terms and conditions that are posted concerning the specific property. The Agreement constitutes a valid, binding contract between individuals participating in the auction with the intent to purchase property, referred to as the Bidder or Buyer, and Seller/Auctioneer. The term Bidder or Buyer shall include, but not limited to, the individual or the company represented by the individual and any and all of its agents, employees, representatives, officers, and directors. Auctioneer is not responsible for statements made by the Bidder, Buyer, or other parties. Auctioneer reserves the right to periodically change the terms and conditions of the Agreement, which shall be effective immediately upon posting. It is the Bidders responsibility to review any and all changes made to these terms and conditions prior to bidding on property. The act of submitting a bid shall constitute Bidder acceptance of each and every term and condition contained herein, any additional terms and conditions posted with the property, and any changes made within the full agreement. All persons attending, inspecting or removing property assume all risks whatsoever of damage or loss to person and property and specifically release the Auctioneer from all liability. Auctioneer is not liable by reason of any defect in, or condition of, the property or the premises on which the preview/sale is held. Auctioneer is released for any claims to actual damage to the property sold and/or consequential damages that may result from the sale of defective property.
All information is deemed to be reliable but not guaranteed. Buyer is responsible for their own due diligence and inspection of the property.
This is seller confirmation auction. Auctioneer will contact the highest bidder immediately after the auction concludes.

